Warning: Declaration of DBResult::fetch_all() should be compatible with mysqli_result::fetch_all($result_type = NULL) in /home/methodusengenharia/www/core/classes/DBResult.class.php on line 60
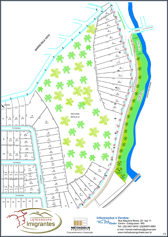
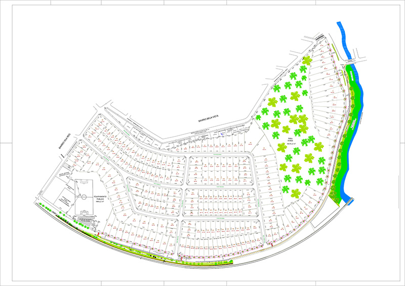
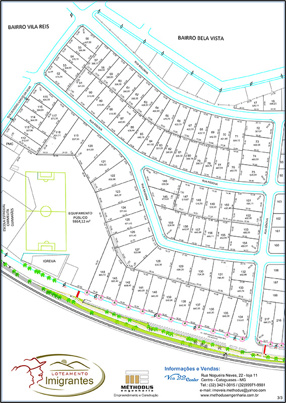
Loteamento Imigrantes - Méthodus

Portfolio e Cases

+ de 100 empreendimentos concluídos

Comentários

Localização